Cuối năm 2017, nhiều hạng mục công trình chùa Phúc Lạc (đứng chân ở xã Nghi Thạch, huyện Nghi Lộc, tỉnh Nghệ An) đã hoàn thành đưa vào sử dụng. Vậy nhưng điều đáng nói là mới đây Sở Xây dựng Nghệ An mới cấp giấy phép xây dựng cho công trình này, tại sao vậy?
.gif)
Cuối năm 2017, những hạng mục như: Nhà phật tử (cao 2 tầng), diện tích 552 m2 đã hoàn thành, đưa vào sử dụng, Nhà tổ và tượng phật (diện tích gần 1.000m2) đang hoàn thiện phần thô. Tại sao một ngôi chùa to như vậy, xây dựng từ năm 2017, nhưng mãi tận năm 2020 Sở xây dựng Nghệ An mới biết và cấp giấy phép xây dựng?
Chùa xây xong đã lâu... nhưng mới cấp phép?
Chùa Phúc Lạc nằm trong cụm Di tích danh thắng tại thị xã Cửa Lò, thuộc xã Nghi Thạch và một phần xã Nghi Khánh, huyện Nghi Lộc (Nghệ An). Chùa được xây dựng từ lâu đời, là một di tích, danh thắng linh thiêng, nơi sinh hoạt tâm linh cho bà con phật tử trong vùng và khu vực từ nhiều đời nay.
Ngày 30/6/2010 chùa đã được UBND tỉnh Nghệ An cho phép phục dựng theo nội dung Quyết định số 2803/QĐ.UBND-NC. Công văn số 6660/UBND-NC ngày 22/09/2015 của UBND tỉnh Nghệ An về việc chấp thuận chủ trương khảo sát lựa chọn địa điểm lập quy hoạch phục dựng chùa Phúc Lạc, Quyết định số 5205/QĐ.UBND-XD ngày 06/11/2015 của UBND tỉnh Nghệ An về việc cho phép khảo sát lựa chọn địa điểm, lập quy hoạch chi tiết xây dựng, phục dựng chùa Phúc Lạc tại xã Nghi Thạch và Nghi Khánh, huyện Nghi Lộc.
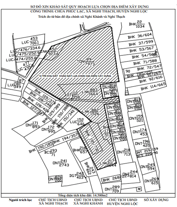
Địa điểm xây dựng trên diện tích khuôn viên chùa hiện nay và diện tích các thửa số 89; 110; 882; 883; 173; 195; một nửa thửa 217 tờ bản đồ 01, xóm Xuân Lạc - thuộc đất trồng cây hàng năm và cây lâu năm, do UBND xã Nghi Thạch quản lý và một phần diện tích của thửa số 452, thuộc đất trồng cây lâu năm (LNK) thuộc xóm Long Tân, do UBND xã Nghi Khánh quản lý với diện tích 390 m2.
.gif)
Bản Quy hoạch xây dựng chùa Phúc Lạc
Ngày 16/9/2016, Phó Chủ tịch UBND tỉnh Nghệ An Lê Xuân Đại đã ký Quyết định số 4487/QĐ-UBND về việc cho phép khảo sát lựa chọn địa điểm, lập quy hoạch chi tiết xây dựng phục dựng chùa Phúc Lạc tại xã Nghi Thạch và Nghi Khánh. Theo đó diện tích khảo sát khoảng 14.580m2.
Tuy nhiên khi chủ đầu tư chưa được cơ quan chức năng cấp giấy phép xây dựng thì nhiều hạng mục của chùa đã khiển khai? Cụ thể đến cuối năm 2017, nhiều hạng mục như: nhà phật tử cao 2 tầng, diện tích 552 m2 đã hoàn thành, đưa vào sử dụng. Đặc biệt hạng mục Nhà tổ và tượng phật diện tích gần 1.000m2 cơ bản đã hoàn thiện phần thô...
Trao đổi với phóng viên về sự việc trên, ông Nguyễn Văn Huyên - Phó Chủ tịch UBND xã Nghi Thạch cho biết: “Giữa năm 2019 chùa xây tượng phật, sau khi địa phương phát hiện đã báo cáo lên huyện để xử lý, đồng thời đình chỉ thi công và chờ giấy phép”.
Bà Trần Thị Ánh Tuyết - Phó Chủ tịch UBND huyện Nghi Lộc cũng khẳng định: “Việc chùa Phúc Lạc xây dựng khi chưa có giấy phép thì huyện đã xử phạt 48 triệu đồng trước tết. Phiếu thu xử phạt đó là về quản lý đất và thiết kế xây dựng Sở xây dựng đã thu lại làm cơ sở để cấp phép”.
.gif)
Biên bản số 03/BB-VPHC vi phạm hành chính về hoạt động xây dựng đối với chùa Phúc Lạc (xã Nghi Thạch, huyện Nghi Lộc)
.gif)
Quyết định số 3993/QĐ-XPHC và số 4005/QĐ-XPHC của UBND huyện Nghi Lộc xử phạt vi phạm hành chính trong lĩnh vực xây dựng đối với chùa Phúc Lạc (xã Nghi Thạch, huyện Nghi Lộc)
Liệu có “hợp thức hóa” cho sai phạm?
Theo tìm hiểu thì ngày 3/1/2020, Sở Xây dựng Nghệ An đã cấp giấy phép xây dựng cho chùa Phúc Lạc xây dựng hạng mục công trình Tượng phật (hạng mục công trình có ký hiệu số 3 theo điều chỉnh kế hoạch chi tiết xây dựng đã được UBND tỉnh Nghệ An phê duyệt tại QĐ số 4845/QĐ-UBND ngày 29/11/2019) thuộc chùa Phúc Lạc tại xã Nghi Thạch, huyện Nghi Lộc.
.gif)
Chùa Phúc Lạc xây dựng năm 2017 thì mãi đến đầu năm 2020 mới có Giấy phép xây dựng
Trong giấy phép xây dựng mà Sở Xây dựng Nghệ An cấp yêu cầu chủ đầu tư trước khi xây dựng công trình phải xuất trình giấy phép xây dựng cho chính quyền sở tại; chỉ được đưa công trình vào sử dụng sau khi hoàn thành đầy đủ các hồ sơ thủ tục pháp lý theo quy định của pháp luật và được kiểm tra nghiệm thu, chấp thuận bằng văn bản của các cơ quan có thẩm quyền.
Như vậy, chùa Phúc Lạc đã "vượt mặt" các cơ quan chức năng trong một thời gian rất dài. Không chỉ “vừa hành quân vừa xếp hàng”, mà còn “trảm trước tấu sau”. Rõ ràng, chùa Phúc Lạc xây dựng trước khi có giấy phép xây dựng, trong giấy phép xây dựng lại yêu cầu rõ “phải xuất trình giấy phép xây dựng cho chính quyền sở tại”.
Vậy thời điểm chùa Phúc Lạc xây dựng (năm 2017) thì lấy đâu giấy phép xây dựng mà xuất trình cho chính quyền sở tại? Và tại sao chính quyền sở tại lại mặc nhiên để chùa Phúc Lạc “âm thầm” xây dựng rồi đưa vào sử dụng một số hạng mục công trình khi chưa được cấp phép? Sở Xây dựng Nghệ An có biết hay là biết nhưng cố tình “phớt lờ” những sai phạm mà chùa Phúc Lạc đã phạm phải?
Trước câu hỏi, việc chùa xây rồi Sở mới cấp phép xây dựng là đúng hay sai, bà Trần Thị Ánh Tuyết - Phó Chủ tịch UBND huyện Nghi Lộc thừa nhận: “Đáng lý ra phải cấp phép trước. Nhưng khi họ xây, mình biết và đã tạm dừng thi công rồi xử phạt hành chính. Sau đó họ lại tiếp tục làm, và Sở xem xét lại toàn bộ qui trình, Sở chấp thuận rồi cấp phép”.
Liên quan đến việc chùa Phúc Lạc xây dựng sau đó Sở Xây dựng mới cấp phép, phóng viên đã liên hệ làm việc với Sở Xây dựng Nghệ An. Tại đây, ông Nguyễn Thế Phiệt - Trưởng phòng Quản lý nhà và Thị trường bất động sản cho hay: “Về nội dung đó mình sẽ làm văn bản trả lời trực tiếp cho báo”.
Còn tiếp...
Còn tiếp...